La UNAM emitió un comunicado en el que negó que tanto Sheinbaum Pardo y la aún senadora Xóchitl Gálvez plagiaran sus trabajos de titulación.
General
La delegación mexicana superó la histórica marca de 42 oros en Guadalajara 2011.
La pastor alemán se especializó en la detección de narcóticos y trabajó en la Oficina del Sheriff de Virginia Beach durante casi 10 años.
Consulta aquí los mejores estrenos y reestrenos en cines mexicanos para este mes de Noviembre.
Integrantes de un grupo delictivo agredieron con impactos de arma de fuego a agentes de la Fiscalía de Guanajuato; dos delincuentes más resultaron heridos.
La final contra el anfitrión de Chile fue dominada por la Selección Mexicana desde el inicio del encuentro; el único gol del partido lo marcó Rebeca Bernal.
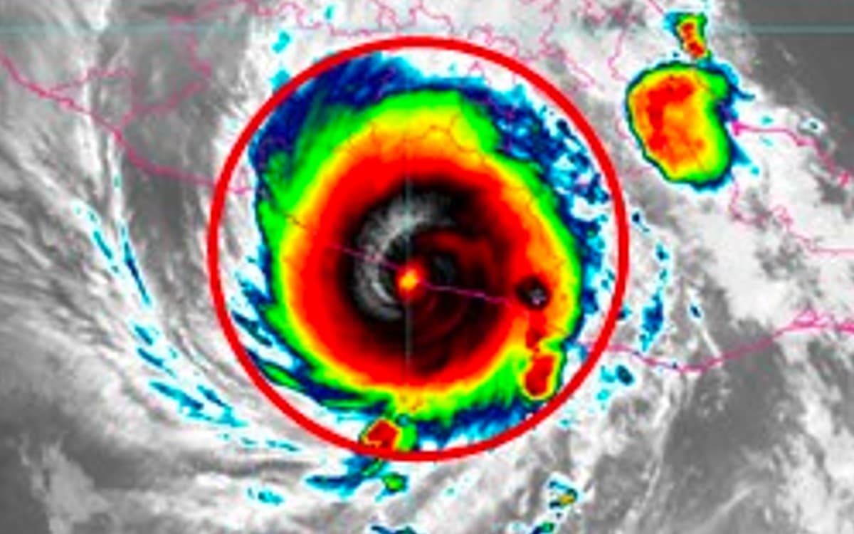
La institución estadounidense recordó que en la era moderna sólo el huracán Patricia superó el registro de Otis, el cual alcanzó una velocidad de 325 km/h.
Ricardo Salinas dijo no estar enojado y que siempre ha sido respetuoso de la investidura presidencial, pero, “lo que hoy dijo el presidente López Obrador amerita precisión y corrección”.
La Universidad Nacional Autónoma de México (UNAM) negó que Claudia Sheinbaum y Xóchitl Gálvez plagiaron sus trabajos de titulación.